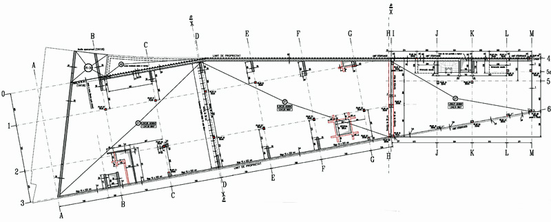
Mikado
DATOS
Ref: 07-253
edificio Mikado
Dirección: C. al Traves (Ver en el mapa)
Localización : La Massana
EQUIPO
Promotor: ATPA, S.L.
Arquitectura: Marc CALVET SALA
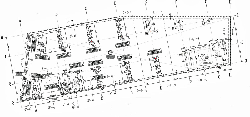
Estructura: GET BEAL DESCRIPCIÓN
Categoría: Vivienda plurifamiliar
Año inicio: 2007
Año final: 2012
Usos: aparcamiento y viviendas
Alturas estructura: -4 /+5
ESTRUCTURA
Superficie construida estructura: 15.065m2
Sostenimiento: muro de hormigón anclado contra pantalla de micropilotes
Cimentación: losa maciza de hormigón sobre micropilotes
Estructura: hormigón armado

